Please fill out this form to request an image and click the Submit Request button when done. The organization will contact you to confirm the details of your request.
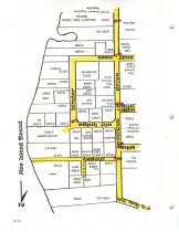
Image 1) Line-drawing/hand drawn fire department/sheriff map of Captiva, in the days prior to street numbers. Image 2) The majority of Captiva on the fire department/sheriff map. The information was compiled by the Captiva Civic Association; Scale 1" = 300' Image 3) The downtown area of Captiva on the fire department/sheriff map. The information was compiled by the Captiva Civic Association; Scale 1" = 200' Image 4) The downtown area of Captiva on the fire department/sheriff map. The information was compiled by the Captiva Civic Association; Scale 1" = 200' Image 5) The list of people on the Captiva Cemetery map in 1987. Image 6) An overview map of Captiva. Image 7) The houses, including physical address, from Blind Pass to #5 Image 8) The houses, including physical address, from #6 to #9 Image 9) The houses, including physical address, from #10 to #16 (including the first S curve) Image 10) The houses, including physical address, from #17 to #21 Image 11) The map of the 'Tween Waters Inn, 1991. Image 12) The houses, including physical address, from #22 to #27; including the second S curve and Chapin, Gore, and Murmond streets Image 13) Captiva Cove, Ventura Captiva and Captiva Shores. Image 14) Sunset Captiva site plan map. Image 15) Hand, line-drawn map Image 16) Andy Rosse, Wightman, and Laika Lanes Image 17) Hand, line-drawn map Image 18) South Seas Iamge 19) South Seas Image 20) South Seas Image 21) Land's End South Seas